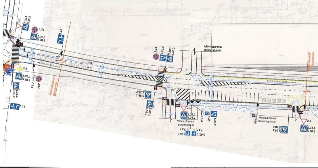
В Івано-Франківську пропонують змінити рух на вулиці Січових Стрільців (ФОТО)

В Івано-Франківську планують зробити вулицю Січових Стрільців односторонньою на всій протяжності від вулиці Незалежності до вулиці Мазепи.

Такий висновок отримали після моделювання руху спільно з фахівцями ТОВ «Урбан прогрес».

Про це повідомив заступник міського голови, директор департаменту інфраструктури, житлової та комунальної політики Івано-Франківської міської ради Михайло Смушак, пише Фіртка.

Наразі вулиця частково двостороння: від Незалежності до Євгена Коновальця дозволений двосторонній рух, а на іншій ділянці — односторонній. На окремих ділянках передбачено виділені смуги для автобусів громадського транспорту, що іноді створює затори.

Запропоноване рішення передбачає:

  • односторонній рух для всіх транспортних засобів;

  • облаштування виділеної смуги для громадського транспорту та велосипедистів по всій протяжності;

  • забезпечення безперешкодного руху автобусів і зменшення заторів для автомобілістів.

Автобуси, які зараз повертають праворуч з вул. Коновальця на Січових Стрільців (маршрути 41, 21, 30, 45, 48 та сільські 47, 56, 57, 58, 59), пропонують перенаправити через вул. Сахарова → Мельника → Незалежності, далі за існуючим маршрутом.

Для зручності пасажирів на вулиці Мельника облаштують дві нові зупинки — біля Пенсійного фонду та «Квіткового ринку».

У міській раді зазначають, що такі зміни дозволять прискорити рух громадського транспорту, підвищити безпеку на вулиці та полегшити пересування автомобілістам.

Впровадження нової схеми планується паралельно з перенесенням світлофорів на цій вулиці.

Наразі схема організації руху є концептуальною і ще доопрацьовується. Міська рада запрошує іванофранківців поділитися своїми думками щодо цих змін.


Підписуйтесь на канал Фіртки в Telegram, читайте нас у Facebook, дивіться на YouTubе. Цікаві та актуальні новини з першоджерел!


Читайте також:

«Війна змінила плани, але працюємо на максимум можливого», — Михайло Смушак про життя та розвиток Івано-Франківська 

Унеможливлять дорожні порушення: на Миколайчука встановили стовпчики-делініатори (ФОТО)


03.10.2025 2501
Коментарі ()

27.04.2026
Діана Струк

Про виникнення конфлікту, позиції сторін, перебіг справи та можливий подальший розвиток подій Фіртці розповів представник Уповноваженого з прав людини в Івано-Франківській області Віталій Вербовий. 

6076
24.04.2026
Вікторія Матіїв

«Він був не лише військовим, а передусім людиною — справедливою та принциповою. Упродовж усього життя вірив у незалежну Україну і вважав, що її потрібно відстоювати — у різні періоди й різними способами. Навіть ті, хто не поділяв його поглядів, розуміли: він діє не зі злості, а з глибокого переконання, — пригадує Наталія Савченко свого чоловіка, полеглого воїна Сергія Савченка.

3276
20.04.2026
Вікторія Косович

Сьогодні Артем Жицький поєднує фітнес і відновлення, працюючи з військовими, які повертаються до цивільного життя. Про мотивацію, виклики реабілітації та те, чому відновлення після війни є процесом без фінальної точки, ветеран розповів в інтерв'ю журналістці Фіртки.

1683
14.04.2026
Вікторія Матіїв

Журналістка Фіртки поспілкувалась з лікарем-генетиком, професором кафедри медичної біології та медичної генетики Івано-Франківського національного медичного університету Русланом Козовим про те, що насправді означає «спадковість», які генетичні дослідження сьогодні доступні в Україні, що хвилює пацієнтів, та як правильно планувати вагітність, щоб мінімізувати ризики.

5254
10.04.2026
Михайло Бойчук

Як насправді виглядає ситуація з нелегальним гральним бізнесом в Івано-Франківській області? Фіртка отримала офіційну статистику від правоохоронних органів та регулятора азартних ігор ПлейСіті. Але перед цим — про проблему загалом, щоб на контрасті зрозуміти ситуацію в регіоні. 

4206 1
07.04.2026
Діана Струк

Як відновлюють Палац, навіщо місту фестивалі під час війни і яким стане цей культурний осередок через кілька років — про це Фіртці розповів директор Простору інноваційних креацій «Палац» Володимир Гайдар.

2793

Війна  чітко показала хто ворог, і в яких  релігійних структурах він перебуває на території України, ми побачили  хто «розділяв і володарював». 

113

Івано-Франківськ в колаборації з Буковелем приймають вже третю за сто років Зимову Олімпіаду...

9035 2

Проблема України й українського народу не нова — і багато хто в світі цього не розуміє, тому й думають, що все «вирішиться саме собою». Такі твори, як «Тигролови», кажуть про абсолютно протилежне — все вирішимо лише ми самі.

985

В Івано-Франківську про літературний Станіславський феномен говорили його патріархи Володимир Єшкілєв та Тарас Прохасько.  Володимир Єшкілєв, який власне придумав бренд літературного «Станіславського феномену», уявляв собі його як «мікрорайон в місті».

4034
04.05.2026

Добра тарілка — це не дієта, а насолода: страви, які радують очі, душу і живлять тіло. Навіть простий перекус може стати маленьким ритуалом, що заряджає позитивом на кілька годин уперед.  

3293
30.04.2026

Овочі родини капустяних належать до найкорисніших для здоров’я. Дієтологи пояснили, яку користь мають броколі та брюссельська капуста, чим вони відрізняються і яку з них краще додати до свого раціону.

4282
24.04.2026

Час останнього прийому їжі може впливати на здоров’я не менше, ніж її склад.  

4888
03.05.2026

Згромадження Сестер Пресвятої Родини, засноване в 911 році сестрою Теклею Юзефів, вже понад тисячу років працює з людьми, навчає дітей та підтримує громаду.  

8786
29.04.2026

У Пійлі відбудеться традиційна спільна молитва за повернення зниклих безвісти захисників України.  

1808
24.04.2026

У суботу, 2 травня, у відпустовому Марійському центрі «Цариці вервиці» в селі Погоня відбудеться особлива молитовна зустріч біля чудотворної ікони Богородиці.

2525
20.04.2026

У сучасному світі християнські цінності, зокрема — вчення про чистоту до шлюбу, нерідко стають предметом дискусій. Але християнство залишається послідовним у своїй позиції: дошлюбні статеві стосунки — гріх.

7175
01.05.2026

За словами Тараса Прохаська, уявлення про те, що письменник обов’язково «має щось сказати» і закласти чітке послання, — лише один із можливих підходів до літератури.

2866
04.05.2026

Всі говорять про нафту, про ціни на пальне, але є ще проблема добрив. Наразі про неї мовчать, адже вона поки що не вдарила по людях, як це відбулося з цінами на пальне…  

340
29.04.2026

Коли кілька днів тому принц Гаррі з Києва звернувся до Трампа з закликом згадати про Будапештський меморандум та «зробити більше для підтримки України», президент США жорстко відповів та заявив, що саме він говорить від імені Великої Британії більше, ніж сам принц.

847
20.04.2026

В Болгарії в неділю, 19 квітня, переконливу перемогу (44,7%) отримала коаліція "Прогресивна Болгарія" на чолі з колишнім президентом країни Руменом Радевим, якого вважають проросійським політиком.

2059
15.04.2026

Минулої неділі в Угорщині відбулися вибори парламенту. Цікаво, що всі три партії, які пройшли до парламенту є правими, — жодної лівої чи ліберальної партії в угорській політичній реальності «немає».

1912