В Івано-Франківську провели чергове засідання з безпеки дорожнього руху: що вирішили

Провели чергове засідання Комісії з безпеки дорожнього руху, на якому розглянули понад 20 питань.

Про це повідомив заступник міського голови Михайло Смушак, передає Фіртка.

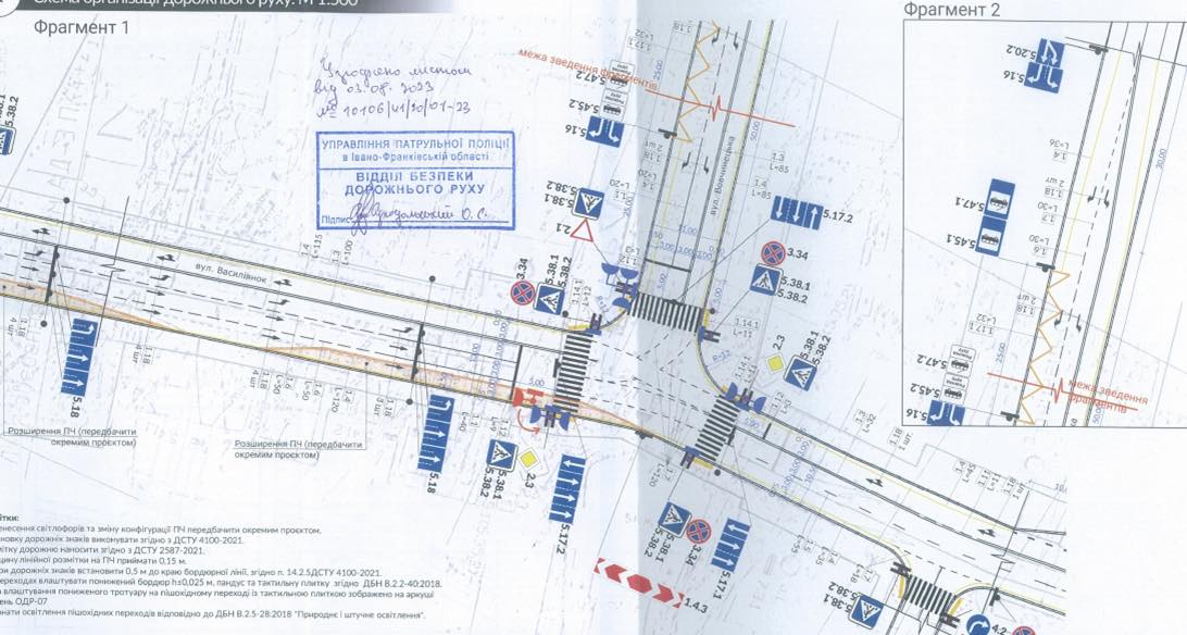
Одним із ключових питань сьогодні було представлення результатів проведеного моделювання та розроблених на його основі нових схем організації дорожнього руху на вул. Василіянок, Мулика, Грушевського, Грюнвальдській та Тарнавського. 

Також прийняли рішення про зміну схеми руху на вул. Петрушевича. Вона буде одностороння у напрямку від вул. Грушевського до вул. Франка.

Розглянули і концептуально погодили перенесення одного із двох пішохідних світлофорів на вул. Січових Стрільців (а саме - пішохідний перехід, що на вул. Січових Стрільців «Пошта» пропонується перенести на перехрестя з вул. Січових Стрільців-Шевченка).

По даному питанню будемо розробляти окремий проєкт і окремо погоджувати. Його метою є зменшення заторів на вул. Січових Стрільців, оскільки зараз вулиця «стоїть у заторі» від вул. Незалежності до вул. Шевченка.

Ще одним важливим питанням було погодження реалізації проєкту обмеження паркування шляхом влаштування болардів з метою обмеження проїзду на вул. Галицьку, від вул. Сотника Мартинця до пл. Ринок. Дана ділянка вулиці буде пішохідною.


Підписуйтесь на канал Фіртки в Telegram, читайте нас у Facebook, дивіться на YouTubе. Цікаві та актуальні новини з першоджерел!


Читайте також:

В Івано-Франківську на стадіоні "Рух" з'явиться Молодіжний центр

Міський голова Івано-Франківська провів прийом громадян: з чим зверталися мешканці

Фотогалерея


25.08.2023 Іван Муканик 1195
23.03.2026
Тетяна Дармограй

В інтерв’ю журналістці Фіртки Руслан Павлов розповів про перші бої та втрати побратимів, мотивацію добровольців і мобілізованих, розрив між фронтом і тилом, а також про те, як війна змінює сприйняття життя і плани на майбутнє.

3532
18.03.2026
Тетяна Ткаченко

Студентку Карпатського національного університету імені Василя Стефаника Яну Безуглу повномасштабне вторгнення застало в рідному місті Мирноград, що на Донеччині. Сьогодні дівчина проживає в Івано-Франківську та активно допомагає війську.  

1995
13.03.2026
Павло Мінка

Лісова мафія та злочини проти природи: ексклюзивні дані від поліції та прокуратури — спеціально для Фіртки.  

3310 1
09.03.2026
Вікторія Матіїв

У розмові з Фірткою Надія Левченко розповіла про шлях до сцени, пам’ятні ролі, режисерський дебют та те, як війна змінила її творчість і ставлення до мистецтва.  

1577
04.03.2026
Вікторія Косович

Від оборони Києва до боїв на Донбасі, від поранень і втрат до психологічної реабілітації та роботи в Офісі Омбудсмана — ветеран Максим Кремінь в інтерв'ю розповів Фіртки про службу, труднощі повернення та те, що справді потрібно ветеранам після війни.

1893 1
01.03.2026
Вікторія Матіїв

«Він був неймовірно цілеспрямованим. За що б не брався — усе в нього виходило. Прекрасно малював, обожнював читати. Займався спортом», — згадує Наталія Погоріла свого чоловіка, полковника Повітряних сил Юрія Погорілого.  

2747

У 50-60-х рр. з’являється багато фільмів про Христа  як спроба протистояти секуляризації, а також як відповідь на запит надії людства у післявоєнний період. Зараз також хочеться відволіктися і подивитись щось дійсно важливе, що спонукає до роздумів.  

590

Конфесійні зміни у Красноїльській церкві почалися з поминання російського патріарха та розповсюдження нових, друкованих Церковних календарів.

1607

Згідно Книги Пророка Ієзеркіля (книги 38, 39) «Остання Битва Кінця» має відбутися між Ізраїлем та «Гогом з землі Магог (Півночі) та полчищами персів, ефіопів і лівійців при ньому».

3320

Багато людей використовують мобільні застосунки, щоб підтримувати релігійні практики, молитися, читати священні тексти або отримувати духовну підтримку щодня. Кожна із відомих церков чи відомих релігій створює мобільні застосунки для своїх вірян.

1367
22.03.2026

Все більше людей відмовляються від дієт і переходять до інтуїтивного харчування — підходу, що вчить слухати тіло, а не рахувати калорії.  

3091
17.03.2026

Фіртка ділиться порадами та лайфхаками, які допоможуть зробити раціон більш корисним та збалансованим.

3565
14.03.2026

У наші дні вуглеводи є "ворогом", а деякі "експерти" пропагують продукти з високим вмістом жирів. Якщо у вас високий кров'яний тиск, то не обов'язково жертвувати вуглеводами.  

9331
21.03.2026

На недійсність впливає не те, що сталося після вінчання, а те, що було до складання шлюбу.    

10154
19.03.2026

До спільної молитви запрошують, зокрема, родини захисників і захисниць, молодь та всіх небайдужих.

1132
17.03.2026

У питаннях одягу вірян в церкві різні релігійні традиції мають свої підходи та вимоги.  

4485
14.03.2026

У селі Гошів, що на Івано-Франківщині, на Ясній Горі розташований монастир Чину святого Василія Великого. Зокрема, на дзвіниці Гошівського монастиря знаходиться один з чотирьох карильйонів України.  

10378
23.03.2026

Мурали або стінописи сьогодні не є чимось незвичним. У містах України, зокрема й в Івано-Франківську, на вільних стінах будинків час від часу з'являються різноманітні нові прояви вуличного мистецтва.  

40822 1
23.03.2026

Минулої неділі в німецькій Баварії пройшов другий тур муніципальних виборів, на яких обирали мерів міст та громад.

711
18.03.2026

ВООЗ проводить інструктаж для своїх співробітників щодо дій у разі ядерного інциденту, зокрема надає консультації посадовцям щодо ризиків для громадського здоров'я та заходів, які люди повинні вживати для самозахисту.   

539
17.03.2026

Оскар вироджується. Про це можна було зробити висновок лише з того факту, коли чесна і жорстка документалка «2000 метрів до Андріївки» не проходить навіть в шорт-лист, а перемагає «Містер Ніхто проти Путіна».

847
13.03.2026

В Угорщині 12 квітня вибори до парламенту. Останні соціологічні дослідження свідчать, що партія антиукраїнського та антиєвропейського прем’єр-міністра Віктора Орбана «Фідес», яка багато років при владі, має реальні шанси вибори програти.

2595